Ajánlói Link másolása
Csongrád
kep Galéria
kep
kep
kep
kep
Feladva:2026-04-09 02:05
Profi hirdetés kiemelés előresorolással kiemelés 20+5 napig
Csongrád
11 990 000 Ft
Csongrád
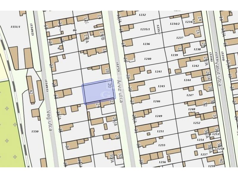
Eladó Csongrádon, a központhoz közeli csendes utcában az Árvíz utcán egy közművesített építési telek. Ár: 11.990.000 Ft Az ingatlan tulajdonságai: - telek méret: 857nm, - víz, gáz, csatorna a telken belül, - villany a telek előtt. Az építési telek kiválóan alkalmas új ház építésére, de akár céges telephelynek is jól használható a széles 23 méteres utcafrontnak és a telek előtti jelentős mértékű parkolási lehetőségnek köszönhetően. A jelenlegi tulajdonos által a telek rendezése folyamatban van, így a rajta lévő építési anyagok a telek átadása előtt elszállításra kerülnek. A telek beépíthetősége 40%, így maximum 342nm-es alapterületű, oldalhatáron álló, 4,5 méter magasságot meg nem haladó lakóház építhető rá! A telken rendelkezésre áll a villanyt kivéve minden közmű. Mivel a telek építési telek, így amennyiben 3 éven belül épít rá, akkor a 4%-os vagyonszerzési illetéket sem kell megfizetnie. A telek elhelyezkedését tekintve kifejezetten előnyös helyen található. Bár a központtól nem messze helyezkedik el, az utca csendes, nincs átmenő forgalom. Az út aszfaltozott és széles, így nagy előny, hogy az ingatlan előtt is meg lehet állni több autóval. A vele párhuzamos utcában található a LIdl és a Pepco, de a Fő úton található Penny is a közelben van. FONTOS! A telek per és tehermentes, azonnal használatba vehető! FIGYELEM! A telek közelében számtalan üzlethelység és szolgáltató cég található, így könnyen elérhetők további boltok, iskolák, óvodák, orvosi rendelők, gyógyszertárak és még egy benzinkút is. Csongrád városa az Alföldön, a Tisza jobb partján, a Hármas-Körös torkolata (Körös-torok) alatt fekszik. Legfontosabb közúti megközelítési útvonala a 451-es főút, ezen érhető el Kiskunfélegyháza–Gátér és Szentes felől is. A főút régebben a belvároson keresztül vezetett, egy ideje már dél felől elkerüli azt. További alsóbbrendű utakon elérhető a város Szeged–Felgyő (4519) Csépa (4513) és Tiszaalpár (4502) felől is. Vasúton megközelíthető Kiskunfélegyháza és Szentes felől a MÁV 147-es számú Kiskunfélegyháza–Orosháza-vasútvonalán. A vonalnak összesen négy megállási pontja van Csongrád területén: Kettőshalom, Kónyaszék, Csongrád alsó megállóhelyek és végül Csongrád vasútállomás. Ha felkeltette érdeklődését, hívja irodánkat bizalommal! Ha hitelre van szüksége éljen ingyenes, személyre szabott hitel ügyintézési szolgáltatásunkkal is.
Bruttó ár
11 990 000 Ft
Elérhetőségek
+36-... Megjelenítés
Weboldal link
0
Videó link
0
Cim
Magyarország
Csongrád megye
Csongrád
Árvíz utca
Hirdetés leirása
Hirdetés azonosító:42027